Facebook Twitter Instagram
    viernes, abril 24
    Facebook Twitter Instagram
    elDigital elDigital
    • Portada
    • Económicas

      El Banco Central emite nueva moneda de RD$1.00

      22 abril, 2026

      Nuevas tecnologías impulsan transformación significativa de la auditoría interna, afirman expertos

      22 abril, 2026

      Banco Popular desarrolla agenda de inversión en la Semana Dominicana en Panamá

      20 abril, 2026

      Banco Popular, pionero en impulsar los pagos digitales con la integración de Click to Pay con Passkeys

      20 abril, 2026

      Banreservas financia 144 apartamentos entregados por el presidente Abinader en Laderas del Este

      19 abril, 2026
    • Turismo

      Samaná Bay Spring Regatta marca un hito y refuerza a Puerto Bahía como destino de turismo náutico

      20 abril, 2026

      RD “homeport” europeo de cruceros todo el año desde La Romana

      15 abril, 2026

      Conoce los destinos que marcan tendencia en República Dominicana esta Semana Santa

      31 marzo, 2026

      Turismo dominicano no ha sido afectado por alza del petróleo, dice el ministro

      23 marzo, 2026

      Lopesan Hotel Group presenta en la ITB de Berlín los detalles de los proyectos de expansión en el Caribe, Madrid y Gran Canaria

      3 marzo, 2026
    • Salud

      ARS Primera reconoce labor de asistentes de salud con el evento “Heroínas Cotidianas”

      20 abril, 2026

      Liga Dominicana Contra el Cáncer realiza Jornada de Cáncer Cervicouterino

      12 abril, 2026

      Fundocapro y Grupo Urus realizarán gratis una jornada internacional de cirugía reconstructiva genitourinaria

      12 abril, 2026

      SeNaSa y el Instituto Dermatológico firman nuevo acuerdo que fortalece el acceso a servicios dermatológicos para sus afiliados

      8 abril, 2026

      La salud mental no debe pasarse por alto

      7 abril, 2026
    • Internacionales

      «Aparato represivo» en Venezuela «sigue vigente» tras caída de Maduro, dice Amnistía Internacional

      22 abril, 2026

      Detienen en Argentina al acusado de asesinato del precandidato presidencial colombiano Miguel Uribe

      22 abril, 2026

      Trump extiende el alto el fuego hasta que Irán presente una propuesta de acuerdo

      21 abril, 2026

      Florida anuncia una investigación criminal contra ChatGPT por «aconsejar» a un tirador

      21 abril, 2026

      Una familia venezolana necesita 692,32 dólares al mes para pagar alimentos, según una ONG

      19 abril, 2026
    • Deportivas

      LNB inicia temporada 2026 con el respaldo oficial de Banreservas

      14 abril, 2026

      Sertelsa Televisión y Quality de España serán responsables de la transmisión de los Juegos Centroamericanos y del Caribe 2026

      8 abril, 2026

      EE UU elimina RD en Clásico Mundial Beisbol

      15 marzo, 2026

      ¡Triufo! Dominicana gana a Corea del Sur; da paso semifinal del Clásico Mundial

      14 marzo, 2026

      Ganó Dominicana; venció a Venezuela y ahora se cita con Corea

      12 marzo, 2026
    • Tecnológicas

      Nuevas tecnologías impulsan transformación significativa de la auditoría interna, afirman expertos

      22 abril, 2026

      Víctor Bautista: «El periodista que no entienda la IA estará ciego, pero el que no entienda la ética estará desnudo»

      17 abril, 2026

      Eficiencia tecnológica clave para la sostenibilidad energética del sector empresarial dominicano

      16 abril, 2026

      ¿Quién controla el «botón rojo» de la IA? El pulso entre la soberanía nacional y el poder del algoritmo

      15 abril, 2026

      HONOR Magic8 Lite, una alternativa resistente

      10 abril, 2026
    • Espectáculo

      Día del Libro en Estados Unidos: primera lectura pública de Don Quijote en el Capitolio

      23 abril, 2026

      Centro León se une a la Feria Regional del Libro 2026

      23 abril, 2026

      Luz García será presentadora oficial de la 3ra gala del Premio Mujeres que Inspiran

      22 abril, 2026

      Billboard reconoce a Rosalía como la «Mujer del Año»

      20 abril, 2026

      Melodrama se estrena en Festival de Miami y Chicago

      20 abril, 2026
    elDigital elDigital
    Las Más Destacadas

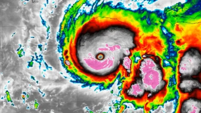
    Melissa se transforma en huracán de categoría 5 y pone en alerta a Jamaica

    By elDigital27 octubre, 20252 Mins Read
    Facebook Twitter Pinterest LinkedIn Tumblr WhatsApp Email
    Melissa se transforma en huracán de categoría 5 y pone en alerta a Jamaica, eldigital.com.do
    Share
    Facebook Twitter LinkedIn WhatsApp Pinterest Email

    En Haití y en la República Dominicana se espera que las condiciones propias de tormenta tropical lleguen hacia el final del martes y se prolonguen en el miércoles. Allí también se advierte de inundaciones, deslizamientos de tierra y de probables aislamientos de comunidades.

    El huracán Melissa, formado como tormenta tropical el martes pasado en el mar Caribe, ha alcanzado la categoría 5, según el Centro Nacional de Huracanes (NHC, en inglés) de Estados Unidos, que prevé vientos destructivos, marejada ciclónica e inundaciones catastróficas que empeorarán en Jamaica durante el día y hasta esta noche.

    La previsión es que Melissa golpee como huracán a Jamaica este lunes y a Cuba el martes o el miércoles, además de causar lluvias en Haití y en la República Dominicana, donde un millón de usuarios quedaron sin agua.

    Desde el Centro Nacional de Huracanes se advierte a la población de Jamaica que no abandone su refugio seguro, ya que hasta mañana martes existe un alto riesgo de inundaciones repentinas y deslizamientos de tierra catastróficos.

    Además, se recuerda que los vientos de carácter destructivo, especialmente en las zonas montañosas, comenzarán esta noche y podrían ocasionar daños graves en infraestructuras, cortes de energía y de comunicaciones de larga duración, dejando comunidades aisladas.

    También se prevén marejadas ciclónicas y olas peligrosas a lo largo de la costa sur hasta el martes.

    En Haití y en la República Dominicana se espera que las condiciones propias de tormenta tropical lleguen hacia el final del martes y se prolonguen en el miércoles. Allí también se advierte de inundaciones, deslizamientos de tierra y de probables aislamientos de comunidades.

    De la agencia EFE

    #Melissa #transforma #huracán #categoría5 #alerta #Jamaica eldigital.com.do
    Share. Facebook Twitter LinkedIn WhatsApp Email
    elDigital

    Notas Relacionadas

    Día del Libro en Estados Unidos: primera lectura pública de Don Quijote en el Capitolio

    23 abril, 2026

    Deserción escolar en RD; secundaria bajó de 6.3 % a 5.7 % entre 2020 y 2025

    23 abril, 2026

    Senado aprueba ley contra la publicidad engañosa en el sector inmobiliario

    23 abril, 2026
    Add A Comment

    Comments are closed.

    Síguenos
    • Facebook
    • Twitter
    • Instagram
    • YouTube
    • TikTok
    • WhatsApp
    No se pierda

    Día del Libro en Estados Unidos: primera lectura pública de Don Quijote en el Capitolio

    By elDigital23 abril, 20261 Min Read

    El Capitolio de Estados Unidos acogió este jueves la primera lectura pública de Don Quijote…

    Deserción escolar en RD; secundaria bajó de 6.3 % a 5.7 % entre 2020 y 2025

    23 abril, 2026

    Senado aprueba ley contra la publicidad engañosa en el sector inmobiliario

    23 abril, 2026

    Abinader recibe a la ANPA en el Palacio Nacional y garantiza que «Ningún agrónomo será cancelado»

    23 abril, 2026
    Banners Medios Digitales - Campaña Institucional
    Del Editor

    Día del Libro en Estados Unidos: primera lectura pública de Don Quijote en el Capitolio

    23 abril, 2026

    Deserción escolar en RD; secundaria bajó de 6.3 % a 5.7 % entre 2020 y 2025

    23 abril, 2026

    Senado aprueba ley contra la publicidad engañosa en el sector inmobiliario

    23 abril, 2026

    Abinader recibe a la ANPA en el Palacio Nacional y garantiza que «Ningún agrónomo será cancelado»

    23 abril, 2026

    elDigital nace como un novedoso periódico digital, editado por veteranos de la comunicación de la República Dominicana.

    Email: redaccioneldigital@gmail.com
    Contacto: +1-481-7509

    Facebook Twitter Instagram YouTube WhatsApp TikTok
    Recientes

    Día del Libro en Estados Unidos: primera lectura pública de Don Quijote en el Capitolio

    23 abril, 2026

    Deserción escolar en RD; secundaria bajó de 6.3 % a 5.7 % entre 2020 y 2025

    23 abril, 2026

    Senado aprueba ley contra la publicidad engañosa en el sector inmobiliario

    23 abril, 2026
    Síguenos en Instagram

    eldigital_rd

    El presidente surcoreano, Yoon Suk-yeol, levantó El presidente surcoreano, Yoon Suk-yeol, levantó este martes, tras una reunión extraordinaria de su gobierno, la ley marcial que había declarado horas antes, al tiempo que aseguró que las tropas que se ocupaban de garantizarla ya se habían retirado a sus cuarteles.

Yoon realizó este anuncio en una comparecencia por televisión de madrugada en Corea del Sur, horas después de que el Parlamento del país votase a favor de levantar esta medida, lo que según la Constitución, obligaba a su revocación.

Pero qué es una ley marcial

Una ley marcial es un estado de excepción de la aplicación de las normas legales que se regula en la constitución de cada país. Mediante la ley marcial se otorgan facultades a las fuerzas militares y a otros cuerpos policiales para que salvaguarden el orden público. Así, pueden realizar arrestos sin que ningún organismo jurídico controle sus actividades.
    Mañana lunes se realizará una reunión de alto Mañana  lunes se realizará una reunión de alto nivel para conmemorar el vigésimo quinto aniversario del Día Internacional para la Eliminación de la Violencia contra la Mujer, en el Salón de la Asamblea General  de las Naciones Unidas, (ONU), fecha en honor a las Hermanas Mirabal, Patria Minerva y María Teresa, asesinadas durante la dictadura de Rafael Leónidas Trujillo.

Esta fecha, declarada oficialmente por la ONU mediante la resolución 54/134, del 17 de diciembre de 1999, honra la memoria de las Hermanas Mirabal, activistas dominicanas asesinadas precisamente el 25 de noviembre de 1960, así como a todas las mujeres que han sufrido abuso y violencia en todo el mundo.
    Lo que se vivió ayer martes en Haití demuestra l Lo que se vivió ayer martes en Haití demuestra lo gravemente fragmentados que se encuentran sus residentes,  lo intocable que es su clase económicamente poderosa y la apatía de esta, ante una posible solución de la crisis política, social y económica que  envuelve a la vecina nación.

Pandilleros penetraron al lujoso barrio de Pétion-Ville, ubicado en las periferias de Puerto Príncipe, con el objetivo atacar a personas indefensas y plantar terror, como lo hacen a diario en la capital haitiana, sin embargo, no les salió como pensaron.

«Fueron por la lana y salieron traquilao». Los ricos haitianos demostraron que con ellos nadie se pueden meter, ni siquiera el poderoso expolicía Jimmy Cherizier, alias ´Barbecue´, cabeza de la la coalición Vivre Ensemble (Vivir Juntos), banda que mantiene la vecina nación en total  zozobra.
    La Feria Internacional del Libro 2024 te invita a La Feria Internacional del Libro 2024 te invita a profundizar sobre el tema autismo con una gran variedad de libros.  Aprovechen, este importante evento cultural culmina mañana, domingo 17.
    El Carretón de libros, presente en la Feria Inter El Carretón de libros, presente en la Feria Internacional del Libro 2024

Una hermosa iniciativa que incentiva la lectura y mide la moral del dominicano #FeriaDelLibro
    La visita de Santa!!! Este fin de semana, Santa La visita de Santa!!! 

Este fin de semana, Santa Claus salió del gélido Polo Norte para visitar con gran alegría a residentes del sector El Millón en Santo Domingo, capital de la República Dominicana. Le acompañó una pequeña banda de música. Algunos vecinos salían obsequiando propinas, otros las lanzaban de sus terrazas o balcones.
    ¿Solo en RD? El chofer motor Uber junto a una cli ¿Solo en RD? El chofer motor Uber junto a una cliente se desplaza, la tarde de este sábado, por la avenida Bolivar de la capital dominicana cubriéndose de la lluvia que afecta el país desde hace días producto de una vaguada. #RD #RepublicaDominacana #Lluvia #SoloEnRD
    50 años de Casa de Campo, todo lo que se vivió e 50 años de Casa de Campo, todo lo que se vivió este fin de semana

Casa de Campo inició la celebración de sus 50 años por todo lo alto, durante dos días, viernes y sábado, presentó una selección de los mejores intérpretes del rock americano de los 80, acompañados de famosos artistas latinos, en el legendario Altos de Chavón.

La noche del viernes, un público de diferentes edades, disfrutó  de la participación de los clásicos americanos Robin Wilson, Robin Zander,  Richard Marx y el boricua Pedro Capo.

El sábado, cerró con  el cubano-americano, Jon Secada, la leyenda estadounidense Taylor Dayne, el muy famoso John Elefante y el colombiano, nacido en Medellun y ex vocalista de la agrupación Piso 21, Llane, quien tuvo una de las mejores puesta en escena.
    El presidente de la República, Luis Abinader, sol El presidente de la República, Luis Abinader, solicitó el retiro ‘inmediato’ del proyecto de reforma fiscal sometida al Congreso Nacional, tras la inconformidad ciudadana manifestada a través de cacerolazos, protestas frente al hemiciclo y donde, dentro, unos 115 ciudadanos alzaron su voz en una vista pública realizada el jueves pasado.

El mandatario se dirigió al país la noche de este sábado 19, a las 7:00 de la noche, en una alocución que duró unos seis minutos.

Al iniciar dijo que se dirige al pueblo con toda humildad, consciente de que la reforma fiscal es necesaria para el  pueblo dominicano , y que el asumió someterla con responsabilidad, lo que no hicieron gobiernos pasados.
    El Banco Central de la República Dominicana dentr El Banco Central de la República Dominicana dentro de la celebración de sus 77 años de fundación ofició una eucaristía de acción de gracias, la mañana de este viernes. Un corte del hermoso coro.
    Marianela Ancheta, coronada recientemente como la Marianela Ancheta, coronada recientemente como la reina de belleza que representará a Cuba en Miss Universo 2024, se encuentra de visita en República Dominicana.

La beldad cubana arribó al país por el Aeropuerto Internacional Las Américas, donde fue recibida con una gran ovación por la comunidad cubana residentes en Quisqueya, seguidores y representantes de diversos medios de comunicación, encuentro organizado por Tenay Rodríguez, empresaria Cubana, CEO de BR Insurance.

La empresaria y modelo de 31 años, se encuentra en tierra dominicana para reunirse con los destacado diseñadores Giannina Azar y Leonel Lirio, a quienes eligió para ser los encargados de las confecciones de algunos de los trajes que usará para el Miss Universo 2024, que será celebrado el 16 de noviembre en México.
    La Alianza Francesa de Santo Domingo, en colaborac La Alianza Francesa de Santo Domingo, en colaboración con la Embajada de Francia en la República Dominicana inaugura de la exposición fotográfica «República Dominicana Submarina», una muestra que invita a explorar la biodiversidad marina del país, de la mano de los reconocidos fotógrafos dominicanos José Alejandro Álvarez e Ysabela Coll.

La exposición se inaugurará el viernes 4 de octubre de 2024 a las 7:00 de la noche en la Galería de la Alianza Francesa de Santo Domingo.

Con más de 30 años de experiencia combinada en la fotografía submarina, Álvarez y Coll han seleccionado 37 imágenes que presentan la rica diversidad de los ecosistemas marinos de la República Dominicana.
    El Banco de Reservas anunció su feria de vehícul El Banco de Reservas anunció su feria de vehículos Expomóvil 2024, que se efectuará del 10 al 13 de octubre, con atractivas tasas para la compra de vehículos de motor, híbridos y eléctricos, personales y comerciales, en todos los dealers del país.

La feria ofrecerá financiamientos de hasta el 90% del valor del vehículo, hasta 7 años para pagar, planes de seguro, la facilidad de iniciar el pago de las cuotas en febrero de 2025, y, además, la posibilidad de acceder a la Cuota Móvil, la cual consiste en un abono anual extraordinario que les permitirá reducir el monto de los pagos mensuales.

Los beneficiarios de la feria participarán en sorteos con premios en efectivo, desde 100 mil pesos hasta 300 mil pesos, así como de 50 mil pesos para el pago de la cuota de Seguros Reservas; además, recibirán charlas con expertos en automóviles.
    El presidente Luis Abinader viajará este lunes a El presidente Luis Abinader viajará este lunes a la Ciudad de México donde participará en la toma de posesión de la presidenta electa Claudia Sheinbaum Pardo.

El mandatario saldrá en la tarde de este lunes, para llegar en las primeras horas de la noche a la capital mexicana.

Al día siguiente, martes 1 de octubre, pasadas las 10:00 de la mañana, el jefe de Estado participará en la ceremonia de juramentación de la Señora Claudia Sheinbaum Pardo, primera mujer en ocupar la presidencia de los Estados Unidos Mexicanos, la cual se llevará a cabo en el Palacio Legislativo de San Lázaro, Congreso de la Unión, y está pautada para iniciar a las 11:00 de la mañana.
    La actriz británica Maggie Smith, conocida por su La actriz británica Maggie Smith, conocida por sus papeles en las películas de Harry Potter y la serie Downton Abbey, entre otras, ha muerto a los 89 años, informó este viernes su familia.

Maggie Smith, nacida el 28 de diciembre de 1934 en Ilford, Inglaterra, es una actriz británica aclamada por su trabajo tanto en teatro como en cine y televisión. Inició su carrera en el teatro en los años 50, alcanzando reconocimiento en producciones del Royal National Theatre.

Ella ganó dos Premios Oscar: uno como mejor actriz en «The Prime of Miss Jean Brodie» (1969) y otro como actriz de reparto en «California Suite» (1978).
    La trayectoria de la diva española Rocío Dúrcal La trayectoria de la diva española Rocío Dúrcal, quien ganó a pulso el título de «La reina de las rancheras», será narrada en una película biográfica, anunciaron este martes los productores de la cinta.

Producida por Sony Music Vision, en colaboración con Sony Music México y Altit Media Group, la cinta contará los comienzos de Dúrcal en su natal Madrid hasta convertirse en una de las voces más aclamadas de México.

Durante su carrera la «Diva de Divas» arrancó lágrimas con poderosas baladas como «Amor eterno», «La gata bajo la lluvia» y «Costumbres». Además, desde sus inicios la cantante cautivó a multitudes con sus glamurosos vestidos e imponente presencia en escena.
    Este martes, la vicepresidenta Raquel Peña manife Este martes, la vicepresidenta Raquel Peña manifestó que si fuera ella la presidente de la República no habría otorgado un plazo adicional para que los funcionarios depositen su declaración jurada de bienes.

Ayer, lunes desde la ciudad de Nueva York el presidente Luis Abinader otorgó un plazo de 15 días más para que los funcionarios del gobierno hagan su declaración de bienes.
    El Centro de Atención de Visas (VAC) de la Embaja El Centro de Atención de Visas (VAC) de la Embajada de los Estados Unidos estará disponible a partir de mañana lunes en la plaza comercial Sambil, en el primer piso.

La nueva ubicación estará ofreciendo los mismos servicios de la anterior, incluyendo la recopilación de datos biométricos y la entrega y recogida de documentos.

La legación diplomática informó que tienen un nuevo sitio web para concertar las citas, además de hacer los pagos de cuotas y la programación de citas y el servicio de atención al cliente.
    Cientos de simpatizantes se congregaron este fin d Cientos de simpatizantes se congregaron este fin de semana en Washington Heights para participar en una marcha en apoyo a la candidatura de la vicepresidenta Kamala Harris como próxima presidenta de los Estados Unidos.

Organizado por el congresista Adriano Espaillat, el evento reunió a la comunidad dominicana de Nueva York bajo el lema “Dominicanos con Kamala”, resaltando el creciente apoyo a Harris en este influyente barrio de la ciudad.

La marcha, que se realizó este sábado 21 de septiembre, comenzó en la calle 181 con la Avenida St. Nicholas y culminó en la calle 137 con Broadway, atrajo a una multitud diversa de residentes, activistas y líderes locales.
    El presidente del Consejo Directivo del Instituto El presidente del Consejo Directivo del Instituto Dominicano de las Telecomunicaciones (Indotel), Guido Gómez Mazara, realizó un recorrido, junto al director general de Prisiones, Roberto Hernández Basilio, por las instalaciones del Centro de Corrección y Rehabilitación El Pinito, como parte de los preparativos para la implementación de un plan piloto que busca colocar bloqueadores de señal en las cárceles.

Este proyecto tiene como objetivo impedir los delitos que se cometen desde estos centros mediante el uso de teléfonos celulares.

Durante su visita, Gómez Mazara y Hernández Basilio supervisaron las áreas específicas del centro penitenciario donde se realizará el levantamiento para la colocación de los bloqueadores de señal, en un esfuerzo para frenar las actividades delictivas cibernéticas que se originan desde las cárceles.
    Seguir en Instagram
    © 2018 elDigital.com.do - Soporte Técnico por: JARTech - Jose Ramirez
    • Nosotros
    • Contacto

    Type above and press Enter to search. Press Esc to cancel.