Pese a que el fenómeno se encuentra en Jamaica, sus precipitaciones se desplazan desde el sureste hacia el interior del territorio dominicano, detalló Gloria Ceballo
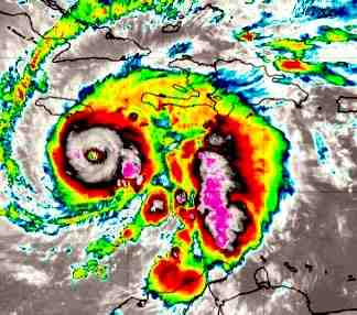
Melissa está experimentando una intensificación extremadamente rápida y es un huracán de categoría 4 con vientos de 225 km/h la mañana de este domingo. El Centro Nacional de Huracanes de EE.UU. espera que se fortalezca hasta convertirse en un raro huracán de categoría 5 este domingo por la noche, informa la cadena CNN.
El centro del huracán se encuentra a 193 km al sur-sureste de Kingston, Jamaica, y la tormenta se desplaza hacia el oeste a solo 8 km/h.
Quienes se encuentren en Jamaica deben “buscar refugio ahora”, según el Centro Nacional de Huracanes. “Los vientos dañinos y las lluvias intensas de hoy (domingo) y este lunes provocarán inundaciones repentinas catastróficas y potencialmente mortales, así como numerosos deslizamientos de tierra antes de que lleguen los vientos más fuertes la noche del lunes y la mañana del martes”.
La directora de la Oficina Nacional de Meteorología (INDOMET), Gloria Ceballos, advirtió que el fenómeno seguirá generando lluvias significativas acompañadas de ráfagas de viento, especialmente sobre las provincias del sur y s uroeste del país, incluyendo Barahona, Pedernales y San Cristóbal.
Pese a que Melissa se encuentra en Jamaica, sus precipitaciones se desplazan desde el sureste hacia el interior del territorio nacional, detalló.
En tal sentido, exhortó a la población y a las autoridades locales a mantenerse atentas a los boletines meteorológicos oficiales y a tomar las precauciones necesarias ante posibles inundaciones o deslizamientos de tierra en zonas vulnerables.
